Skip to main content
SOLD
$395,000
Date 09/15/2025

Outer Belt or H Highway
Sibley, MO 64066

Land
Land Lot
35.6
Acre Lot
Agent Websites> Missouri> Sibley> 64066
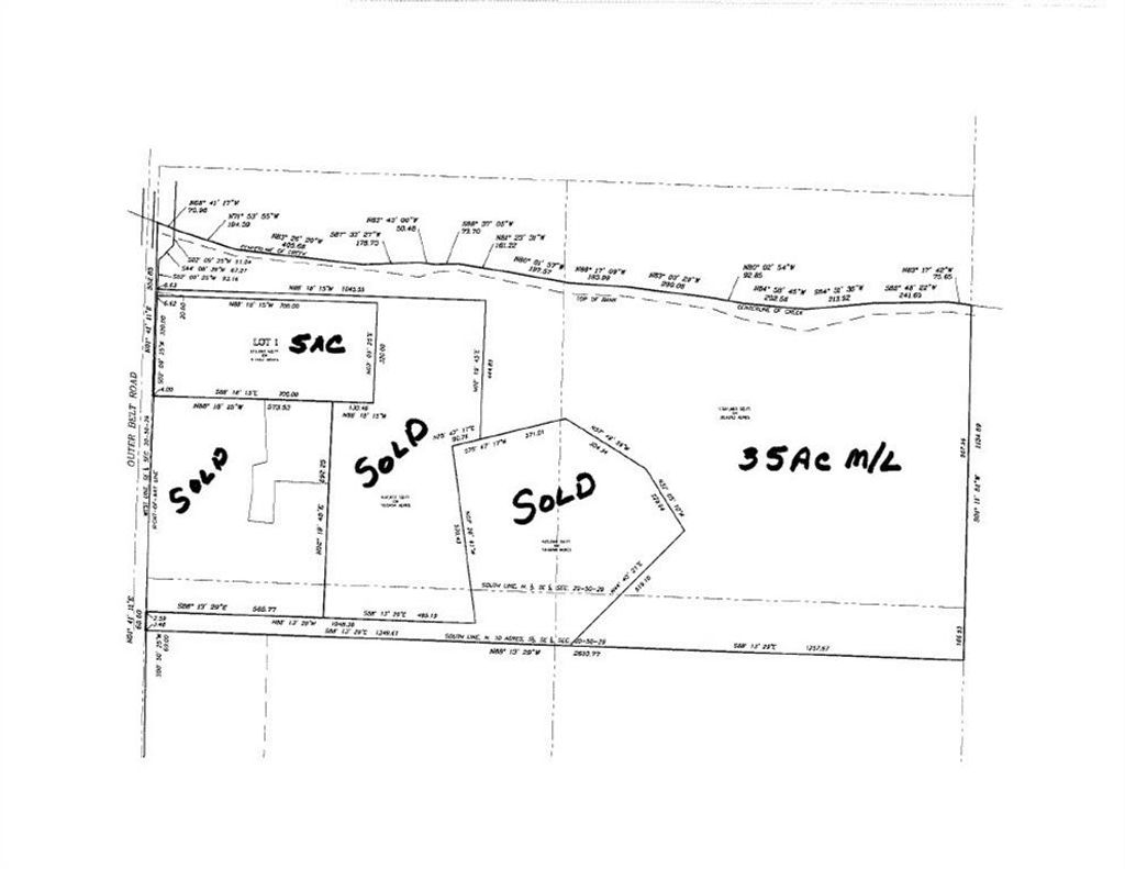
Great 35 Acre site South of 24 Hwy at Levasy Mo. Lots of trees and good for hunting. Nice building site on East side of Trees Also available is a 5 Ac Track the touches H Hwy.
2489711
Land, Other
Jackson
35.6 Acres
Public Water
None, Septic Tank
True https://photos.prod.cirrussystem.net/993/c9640d71bfc1ae13d3fb1a19a210d604/2409493738.jpeg 2489711
Loading...
Data Source: Constellation Data Labs®
The scores below measure the walkability of the address, access to public transit of the area and the convenience of using a bike on a scale of 1-100

Walk Score

Transit Score

Bike Score

Loading...
Data Provided by ATTOM Data®
The information displayed on this page is confidential, proprietary, and copyrighted information of Heartland Multiple Listing Service, Inc. (Heartland MLS). Copyright 2022, Heartland Multiple Listing Service, Inc. Heartland MLS do not make any warranty or representation concerning the timeliness or accuracy of the information displayed herein. In consideration for the receipt of the information on this page, the recipient agrees to use the information solely for the private non-commercial purpose of identifying a property in which the recipient has a good faith interest in acquiring.
This content last refreshed on 11/15/2025 2:07 PM CST. Some properties which appear for sale on this web site may subsequently have sold or may no longer be available.
Information is deemed reliable but is not guaranteed.